CienciaCrean el primer mapa tridimensional de temperaturas de la atmósfera de un exoplanetaOctubre 28, 2025 | 08:52 a. m.
América LatinaDefensa de expresidente brasileño Bolsonaro apela condena a 27 años de cárcelOctubre 28, 2025 | 08:47 a. m.
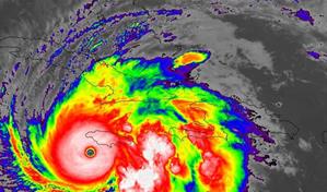
ClimaLas lluvias continuarán en República Dominicana por efectos indirectos del huracán MelissaOctubre 28, 2025 | 08:43 a. m.
Medio OrienteIsrael dice que los restos entregados por Hamás son de un rehén encontrado hace dos añosOctubre 28, 2025 | 08:38 a. m.
Más deportesRinden homenaje póstumo a Juan Ulises García Saleta en el centenario de su natalicioOctubre 28, 2025 | 08:30 a. m.
Resto del mundoGobernador japonés pide ayuda militar ante ataques de ososOctubre 28, 2025 | 08:24 a. m.
Contenido PatrocinadoPayless reabre su tienda más grande en RD con una imagen renovada y moderna en MegacentroOctubre 28, 2025 | 08:00 a. m.
CaribeFuertes lluvias y vientos se sienten en Jamaica por el huracán MelissaOctubre 28, 2025 | 08:00 a. m.
CaribeEl huracán Melissa dejará al menos un millón y medio de afectados en su ruta por el Caribe Octubre 28, 2025 | 07:33 a. m.
Más deportesEfectos de la tormenta Melissa detuvieron el deporte en República DominicanaOctubre 28, 2025 | 07:30 a. m.
Hablando con el pediatra Inundaciones, humedad y calor: insalubridad, enfermedad y muerte Marcos Díaz Guillén
Vida y familia Qué hacer si tu pareja no está lista para casarse después de varios años de relación Ana Simó
Diario de nutrición ¿Más potente que Mounjaro? La fiebre del retatrutide antes de tiempo Dr. Erika Pérez Lara